Port of Brisbane’s Hydrographic Solutions team provides a range of world-class hydrographic surveying services including environmental, sub-bottom profiling, multibeam surveys, magnetometer/gradiometry surveys, side scan surveys, and hydrographic visualisations and 3D fly-through animations.
CAPABILITIES
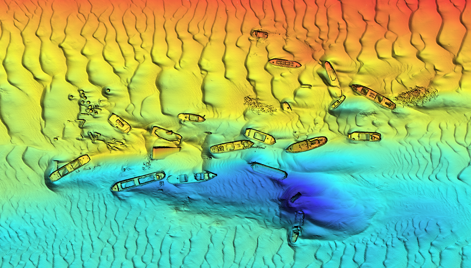
Our team operates the latest state-of-the-art multibeam sonar equipment and vessel mounted terrestrial laser systems coupled with precise inertial navigation and GPS positioning systems. This information is integrated into data acquisition and quality assurance processing software packages to achieve high accuracy surveys to both Maritime Safety Queensland Class ‘A’ standards and IHO Special Orders.
To find out more about our capabilities and services, please read our Hydrographic Services Capability Statement
To find out more about our capabilities and services, please read our Hydrographic Services Capability Statement
SURVEY TYPES
Our Hydrographic Solutions team offers a range of surveying services including:
- 100% Seabed coverage Multibeam Surveys – Class A
- Vessel Mounted Terrestrial Laser Surveys – Class A
- Vehicle mounted or Terrestrial Laser Surveys
- Single Beam Bathymetric Survey – Class B and C
- Magnetometer and Magnetic Surveys
- Dredging Surveys and Support
- Rock wall / Inter-tidal Riverbanks Surveys
- Beach replenishment Surveys
- Subsidence/Siltation Monitoring
- Artificial Reefs and Wreck Surveys
- Engineering/Construction Surveys
- Object Detection / Pipeline Surveys
- Sub bottom Profiling Surveys
- Seabed Classification Surveys
- Side Scan Sonar Surveys
- Dam / Lake Surveys
- Tidal Studies.
